我有话对市长说

信箱说明:
        1、为进一步提高汨罗市政府科学化、民主化水平,提高办事效率,欢迎您通过市长信箱对汨罗市政府的发展工作提出意见与建议;
        2、您在提交信件的时候,请根据实际情况选择信件类型;信箱填写中标红色*号的为必填项;您的信件提交后,我们将尽快转给相关职能部门进行处理和回复。

您现在的位置:首页 > 互动交流 > 市长信箱

信件公示

标题: 2016年申请农村建房至今未获批
来信人: 霍祥
来信时间: 2020-06-04 08:04:35
内容:

尊敬的朱市长

我叫霍祥,是归义镇石桥坝社区五组居民,由于以下几点原因,我申请在家乡归义镇石桥坝社区五组新建住房1栋。

一、我家现居住的房屋还是上世纪九十年代初建设的老式砖结构房屋,至今已近30年。由于当时家庭经济拮据,建房用的材料都比较简陋,在多年的风雨冲刷下房屋破损非常严重,虽然后来经过几次修整,但仍然有多处开裂、到处渗漏,因而新建房屋非常有必要。

二、我家现在人口较多,现有房屋难以满足居住需求。目前,我家祖孙四代人共有10个家庭成员,已分为四户小家庭,但仍一起挤居在140平米左右的老房子里,狭窄的居住空间让家庭摩擦不断,即严重影响家庭和睦,也违背了国家“一户一宅”的政策要求,因此建新房成为我家亟需解决的问题。

三、我结婚后生育一个孩子,哥哥结婚后生育了两个孩子,现在孩子已渐渐长大,需要独立的成长空间,为了三个孩子的健康成长,建新房成为亟待解决的难题。

四、考虑到一些具体需求,现请求将我家之前塑料废品加工的厂房拆除用于新建住房。1、现住房屋宅基地左右比较狭窄,面积较小,不能满足一个四世同堂家族的住房面积需求;2、多年前我家在自留地上建立了一个塑料加工厂房,在前几年环境整治过程中已经关停,一直处于闲置状态,两边均是居民住房,地面已经硬化,不适宜作为生产用地,而且在2016年本人的建房申请中已得到相关部门认可;3、厂房已建设了十几年,将此作为新建房用地,并不会动用社区内任何他人的共同土地或私有土地,也不影响他人的生活起居,绝不存在损害他人利益或违背他人利益的情况。

本人2016年申请新建住房时严格按相关程序进行,所有材料均得到了相关部门的认同,在最后领取建房证的过程中却以暂停办理业务为由至今未予以办理,这一“暂停”就是四年!这是不是相关部门的不作为?当时为了尽快新建住房,在办理建房证的同时将家中厂房进行了部分拆除,而今应归义镇人民政府要求重新申请拆房建房时,却因此成为新开基建房不予办理。当时所有申请建房资料中部门单位“盖章”的材料现不予认同,这是不是典型的“新官不理旧帐”?原址重建满足不了住房需求,自留地建房不予办理,政府又未指定规范建房的地方,请问生活了三十多年的故乡何处才是我的安居之地?安居才能乐业,现在我家因住房问题导致家庭矛盾尖锐,影响了家庭和睦和社会稳定,恳请政府批准“暂停”多年的建房申请。

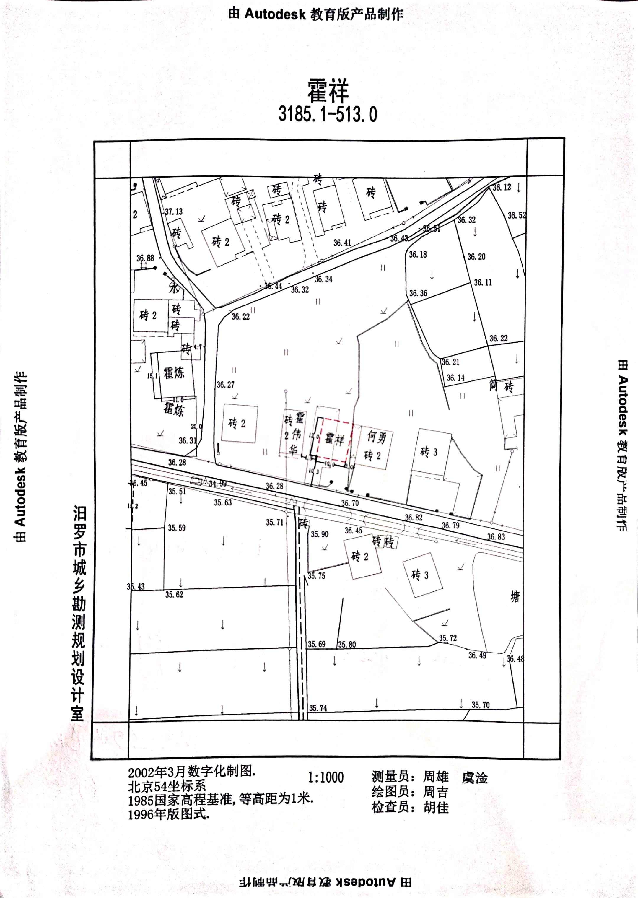
附:规划部门当时绘的建房选址意图。

附件1:建房选址示意图.png

受理回复

回复部门: 归义街道办事处
回复时间: 2020-06-10 15:33:30
回复内容:

霍祥:

您好!来信收悉。经市遗留办、我镇工作人员、归义所长上户调查情况了解到您本人要求新开基,把厂房改建成住房,但现在汨罗本地政策不准新开基,因此您的建房申请不符合条件。希望您理解!

信件回复 满意度调查 查看满意度调查汇总 >>

回复内容评价:

(非常满意)

回复速度评价:

(非常满意)